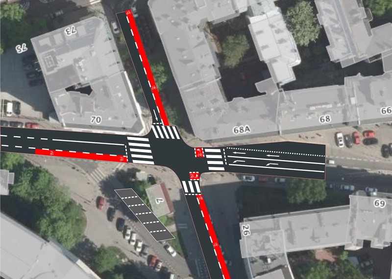
5. Naprawmy skrzyżowanie Noakowskiego/Koszykowa i stwórzmy trasę rowerową przez centrum!
Obecnie na skrzyżowaniu ulic Noakowskiego i Koszykowej brakuje przejścia dla pieszych i przejazdu rowerowego, który pozwoliłby dojechać ul. E. Plater do Al. Jerozolimskich i ul. Świętokrzyskiej. Można to łatwo naprawić!
Wróć do treści artykułu.


